5800 Stoney Creek, San Antonio, TX 78242
Property Photos
Would you like to sell your home before you purchase this one?
Priced at Only: $339,700
For more Information Call:
Address: 5800 Stoney Creek, San Antonio, TX 78242
Property Location and Similar Properties
- MLS#: 1930938 ( Land )
- Street Address: 5800 Stoney Creek
- Viewed: 22
- Price: $339,700
- Price sqft: $0
- Waterfront: No
- Year Built: Not Available
- Bldg sqft: 0
- Days On Market: 7
- Additional Information
- Geolocation: 48.3795 / -120.075
- County: BEXAR
- City: San Antonio
- Zipcode: 78242
- Subdivision: Southwest Metro Acreage
- District: Southwest I.S.D.
- Elementary School: Call District
- Middle School: Call District
- High School: Call District
- Provided by: M Effect Realty
- Contact: Jesus Meave
- (210) 396-1763

- DMCA Notice
-
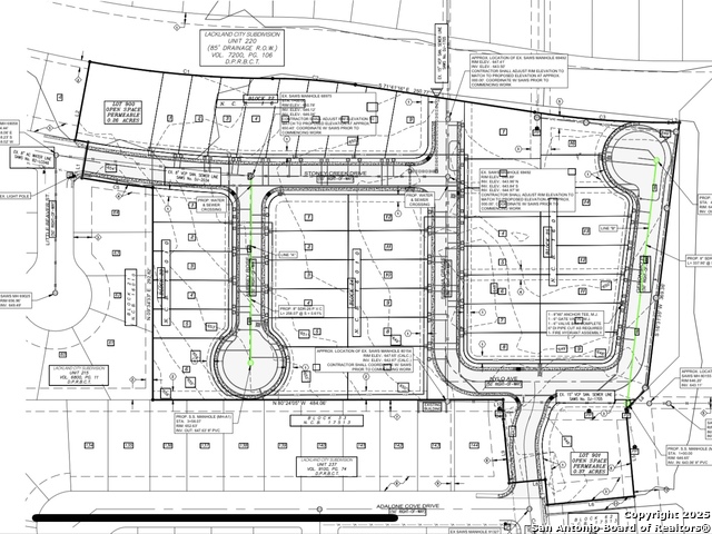
DescriptionAct fast. This is a rare chance to break ground immediately on 7.687 acres of fully approved land in one of San Antonio's fastest growing areas. Just minutes from Lackland Air Force Base, I 410, and downtown, this site is surrounded by booming residential and commercial activity. Zoned R4 and approved for 43 single family homes, all permits are in place and ready to go. No waiting, no delays. Large lot sizes, and an unbeatable location make this an exceptional opportunity for developers looking to move quickly and maximize returns. Secure your position in the path of progress and start building today.
Payment Calculator
- Principal & Interest -
- Property Tax $
- Home Insurance $
- HOA Fees $
- Monthly -
Features
Building and Construction
- Front Footage: 40
- Frontage: City Street
- Source Sqft: Appsl Dist
- Terrain: Level
School Information
- Elementary School: Call District
- High School: Call District
- Middle School: Call District
- School District: Southwest I.S.D.
- School Tax: 327
Eco-Communities
- Septic System: Not Applicable
- Trees: Many
Utilities
- Utilities Available: Water System, Electric, Sewer System, Cable TV
- Utilities On Site: None
- Utility Supplier Elec: CPS
- Utility Supplier Gas: CPS
- Utility Supplier Grbge: CITY
- Utility Supplier Sewer: SAWS
- Utility Supplier Water: SAWS
Finance and Tax Information
- Days On Market: 101
- Home Owners Association Mandatory: None
- Other Tax: 73
- Total Tax: 609
Other Features
- Contract: Exclusive Right To Sell
- Description: Undeveloped, Wooded, Partial Cleared
- Improvements: Other
- Instdir: Exit onto I- 410 Access Rd/SW Loop 410 onto Old Pearsall Rd. Turn right onto Old Sky Harbor Dr. Turn left onto Spotted Deer St. Continue onto Stoney Creek Dr.
- Legal Desc Lot: P-48A
- Legal Description: Ncb 16010 P-48A 2024 Rsvy Per Deed 20230028917
- Location: Cul-de-Sac/Dead End, In Subdivision, Bluff View, Level
- Ph To Show: 210-222-2227
- Restrictions: Use Restrictions
- Site Area Features: None
- Views: 22
- Zoning: R-4
Owner Information
- Owner Lrealreb: No
Nearby Subdivisions
- Antonio Ramirez
- Premier Realty Group
- Mobile: 210.557.7546
- Mobile: 210.557.7546
- tonyramirezrealtorsa@gmail.com










