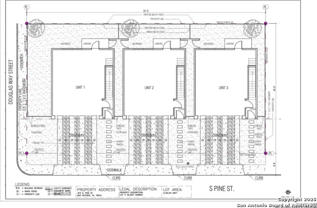
815 Pine St S, San Antonio, TX 78210
Property Photos
Would you like to sell your home before you purchase this one?
Priced at Only: $119,000
For more Information Call:
Address: 815 Pine St S, San Antonio, TX 78210
Property Location and Similar Properties
- MLS#: 1930302 ( Land )
- Street Address: 815 Pine St S
- Viewed: 32
- Price: $119,000
- Price sqft: $0
- Waterfront: No
- Year Built: Not Available
- Bldg sqft: 0
- Days On Market: 14
- Additional Information
- County: BEXAR
- City: San Antonio
- Zipcode: 78210
- Subdivision: Denver Heights
- District: San Antonio I.S.D.
- Elementary School: Herff
- Middle School: Poe
- High School: Brackenridge
- Provided by: Phyllis Browning Company
- Contact: Ariel Dunklin
- (830) 431-0405

- DMCA Notice
-
DescriptionPrime Development Opportunity in Denver Heights! Just a stone's throw from the iconic Alamodome, this unique corner lot is ideally positioned in the heart of rapidly evolving Denver Heights. Zoned within a Mixed Residential District, the property offers exceptional flexibility with multiple build options making it a standout opportunity for savvy investors and developers. The corner configuration allows for efficient design and access, with the potential to easily build two or even three homes, maximizing density and return. Surrounded by ongoing development and minutes from Downtown, major highways, and key cultural attractions, this lot is perfectly suited for those looking to capitalize on one of San Antonio's most promising growth corridors. Don't miss the chance to develop in a high demand area where location, zoning, and potential align.
Payment Calculator
- Principal & Interest -
- Property Tax $
- Home Insurance $
- HOA Fees $
- Monthly -
Features
Building and Construction
- Front Footage: 97
- Frontage: City Street
- Source Sqft: Appsl Dist
- Terrain: Level
Land Information
- Total Acres: 0.119
School Information
- Elementary School: Herff
- High School: Brackenridge
- Middle School: Poe
- School District: San Antonio I.S.D.
- School Tax: 1230.06
Eco-Communities
- Septic System: Not Applicable
- Trees: Few
Utilities
- Utilities Available: Water System, Electric, Sewer System
- Utilities On Site: None
- Utility Supplier Elec: CPS
- Utility Supplier Sewer: SAWS
- Utility Supplier Water: SAWS
Finance and Tax Information
- Days On Market: 12
- Home Owners Association Mandatory: None
- Other Tax: 497.64
- Total Tax: 2598.62
Other Features
- Contract: Exclusive Right To Sell
- Depth Feet: 53
- Improvements: Not Applicable/None
- Instdir: 37S Exit Cesar Chavez Bld, Left on Cesar Chavez, Stay left when Cesar Chavez becomes Iowa St, Right on S Pine. Lot on right side at the corner of S Pine and Douglas Way St.
- Legal Desc Lot: 10
- Legal Description: Ncb 654 Blk 1 Lot 10
- Location: Corner, Level
- Ph To Show: 210-222-2227
- Restrictions: Not Applicable/None
- Site Area Features: None
- Views: 32
- Zoning: RM-4
Owner Information
- Owner Lrealreb: No
Similar Properties
- Antonio Ramirez
- Premier Realty Group
- Mobile: 210.557.7546
- Mobile: 210.557.7546
- tonyramirezrealtorsa@gmail.com



























